From June to August

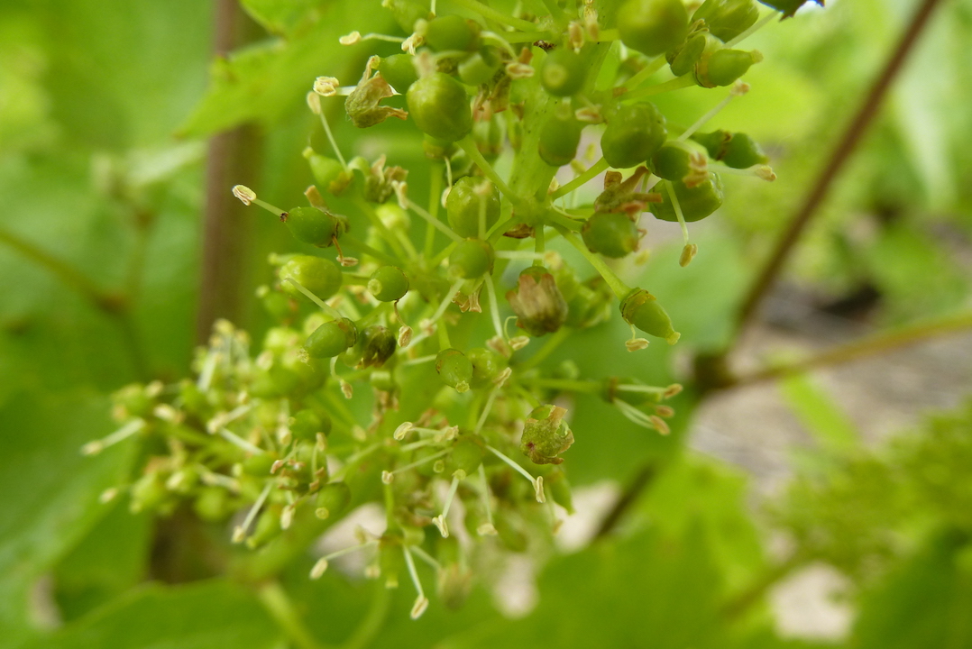
Flowering
Flowering occurs in May or June with the appearance of small flowers. The flowering period is very important. We’re always afraid that the temperature will fall, that it will rain; in which case, there’s a danger that the flowering will be prolonged and unsuccessful. So there’s a risk of fruit set failure, that is to say a normal-sized cluster with small grapes.